Quercus robur subsp. pedunculiflora (K.Koch) Menitsky
Full name:
Quercus robur subsp. pedunculiflora (K.Koch) Menitsky, Trudy Bot. Inst. Akad. Nauk Armyansk. S.S.R. 16: 129 (1967) is an accepted name.
Infrageneric Classification:
Subgenus Quercus, Section Quercus
Nomenclature Note:
Basionym: Q. pedunculiflora K. Koch (1849)
Natural Distribution:
EUROPE: BOSNIA & HERZEGOVENIA, BULGARIA, CROATIA, GREECE, MACEDONIA, MONTENEGRO, ROMANIA, SERBIA, SLOVENIA, WEST ASIA: ARMENIA, AZERBAIJAN, GEORGIA (Asia), NW IRAN, S & SW RUSSIA, TURKEY: (E & SE Anatolia), UKRAINE: (Crimea)
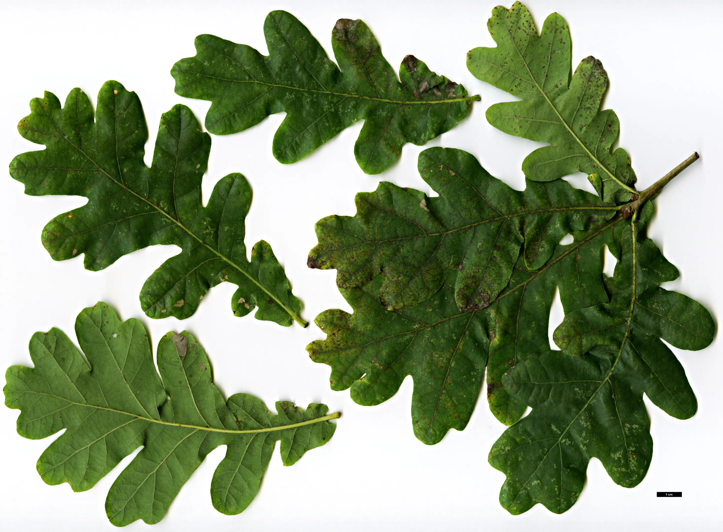
Illustration of Leaves
-
Image from a plant at the Sir Harold Hillier Gardens (UK), 2010 Image Jan De Langhe © Jan De Langhe - Arboretum Wespelaar
Synonyms in this Database
Hybrids in this Database